Uderzył huragan Harvey. Najgorszy od 12 lat

Obraz
Źródło zdjęć: © Getty Images

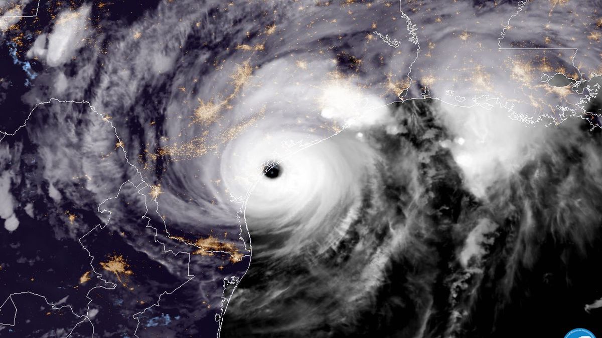
/ 5Zdjęcie satelitarne

Obraz
© Getty Images

Huragan Harvey dotarł do wybrzeża Stanów Zjednoczonych. Uderzył w Teksas, pierwsza miejscowość na jego drodze to Corpus Christi. Prędkość wiatru osiąga nawet 215 km/h. Specjaliści oceniają, że to najsilniejszy huragan od 2005 roku, kiedy na Florydzie uderzyła Wilma. Zginęło wtedy 87 osób. Harvey osiągnął w nocy czwarty stopień w pięciostopniowej skali Saffira-Simpsona. Teraz obniżono jego kategorię do trzeciej. Prezydent Donald Trump ogłosił stan klęski żywiołowej. Już teraz około stu tysięcy domów w Teksasie nie ma energii elektrycznej.

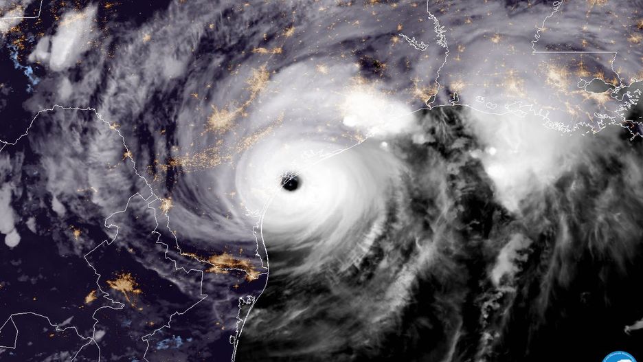
/ 5Wieje nie na żarty

Obraz
© Getty Images | Joe Raedle

Gubernator Teksasu ostrzegł przed wielkimi powodziami, które mogą zagrażać życiu. Na razie Harvey jest na wybrzeżu, ale sięga już samego Houston - dwumilionowego miasta. Lokalne władze zarządziły ewakuację najbardziej zagrożonych miejscowości. Według Narodowego Centrum ds. Huraganów, skutki żywiołu odczują miliony ludzi.

/ 5Fale coraz większe

Obraz
© Getty Images | Joe Raedle

Na drogach utworzyły się ogromne korki, bo ludzie chcieli zawczasu uciec przed żywiołem. Zagrożonych jest około 50 hrabstw. Do pomocy wysłano tysiąc żołnierzy Gwardii Narodowej.

/ 5Puste półki

Obraz
© Getty Images | Joe Raedle

Mieszkańcy Teksasu ogołocili półki w sklepach. Nie wszyscy mogą wyjechać w bezpieczne rejony. Ci, którzy zostaną na miejscu, nie powinni pod żadnym pozorem wychodzić z domów - zalecają władze stanowe. I właśnie ci robili zapasy.

/ 5Szykują się na powódź

Obraz
© Getty Images | Joe Raedle

Pełną parą idzie praca przy napełnianiu worków z piaskiem. Mają one ochronić domy przed powodzią. Huragan przerwał pracę wielu rafinerii ropy naftowej. Są również problemy z ruchem lotniczym.

Widziałeś lub słyszałeś coś ciekawego? Poinformuj nas, nakręć film, zrób zdjęcie i wyślij na redakcjao2@grupawp.pl.

Wybrane dla Ciebie
Wyniki Lotto 02.04.2026 – losowania Lotto, Lotto Plus, Multi Multi, Ekstra Pensja, Ekstra Premia, Mini Lotto, Kaskada
Wyniki Lotto 02.04.2026 – losowania Lotto, Lotto Plus, Multi Multi, Ekstra Pensja, Ekstra Premia, Mini Lotto, Kaskada
Tramwaj uderzył w autokar. Wbił się w bok pojazdu
Tramwaj uderzył w autokar. Wbił się w bok pojazdu
Wadowice. Dziecko wypadło z 3. piętra. Na miejscu lądował śmigłowiec LPR
Wadowice. Dziecko wypadło z 3. piętra. Na miejscu lądował śmigłowiec LPR
Zatrzymano 12 Rosjan na granicy z Polską. Pomagali im Ukraińcy
Zatrzymano 12 Rosjan na granicy z Polską. Pomagali im Ukraińcy
19-latek miał zwykłe dreszcze. 48h później już nie żył
19-latek miał zwykłe dreszcze. 48h później już nie żył
Sąd kazał mu się wyprowadzić. Zemścił się na dzieciach
Sąd kazał mu się wyprowadzić. Zemścił się na dzieciach
Wybory na Węgrzech. Będą monitorowane m.in. przez OBWE i Ordo Iuris
Wybory na Węgrzech. Będą monitorowane m.in. przez OBWE i Ordo Iuris
14-latek sterował dronem nad zakładem Orlenu w Płocku. Odpowie przed sądem
14-latek sterował dronem nad zakładem Orlenu w Płocku. Odpowie przed sądem
Niemowlę zginęło podczas strzelaniny. Tragedia na Brooklynie
Niemowlę zginęło podczas strzelaniny. Tragedia na Brooklynie
Zapytała o ślub cywilny. Ksiądz ostro: "popełniasz grzech"
Zapytała o ślub cywilny. Ksiądz ostro: "popełniasz grzech"
Donald Trump o NATO. "Nie byłoby ich przy mnie"
Donald Trump o NATO. "Nie byłoby ich przy mnie"
Dramat młodzieży na festiwalu. W tle ohydne zachowanie księdza
Dramat młodzieży na festiwalu. W tle ohydne zachowanie księdza