Apokaliptyczny huragan Laura uderzył w Stany Zjednoczone. Koszmarne prognozy

Huragan Laura uderzył we wschodnie wybrzeże USA. Ma on czwartą kategorię w pięciostopniowej skali Saffira-Simpsona. Media nazywają go apokaliptycznym.

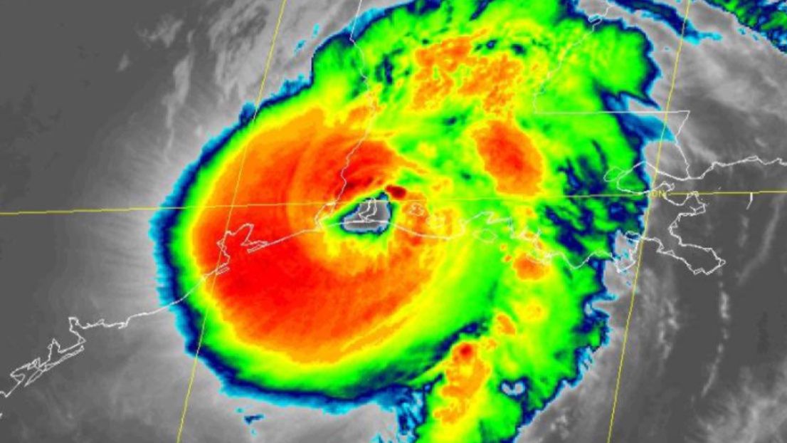
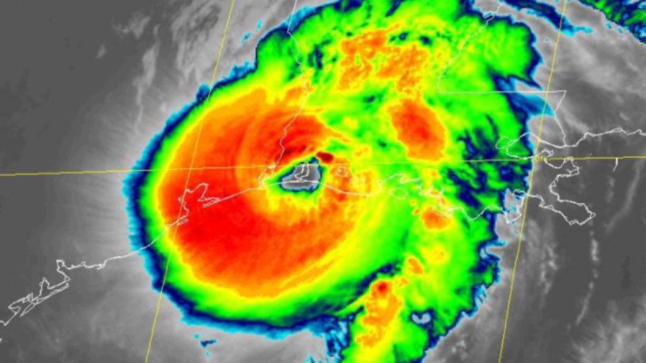
Zdjęcie satelitarne huraganu
Mateusz Domański

Najbardziej zagrożonym regionem jest teren między Teksasem i Luizjaną. Wciąż pojawiają się ostrzeżenia przez potężnym wiatrem i obfitymi opadami deszczu. Eksperci przewidują, że rzeki spływające do Zatoki Meksykańskiej odwrócą bieg i wystąpią z brzegów.

Huragan Laura znajdzie się w pierwszej dziesiątce najsilniejszych huraganów, które jak dotąd dotarły do wybrzeży USA - przewiduje meteorolog CNN Tom Sater.

"To katastrofalny, zagrażający życiu huragan" - przestrzega Narodowe Centrum Huraganów. W USA zarządzono już ewakuację. Z miejsc zamieszkania ma wyjechać nawet 1,5 mln osób. Wszystko po to, by uniknąć spotkania z żywiołem.

Huragan Laura uderzy w Houston. Zdjęcia satelitarne huraganu

"Burze nie do przetrwania"

Przed huraganem Laura ostrzegają media. "Daily Mail" pisze, że jest to po prostu "apokaliptyczny huragan", który przyniesie "katastrofalne wiatry". Dziennikarze tego tytułu alarmują również, że ten huragan oznacza "burze nie do przetrwania".

Przewiduje się, że huragan Laura doprowadzi do śmierci wielu osób, a ponadto wyrządzi mnóstwo szkód. Wszelkie spekulacje i doniesienia są wręcz przerażające. Z godziny na godzinę ma być coraz gorzej.

Czytaj także:

Źródło artykułu: o2pl
Wybrane dla Ciebie
Skandaliczny proceder w Ukrainie. Wymyślono to, by uniknąć wojska
Skandaliczny proceder w Ukrainie. Wymyślono to, by uniknąć wojska
Podejrzane zachowanie mężczyzny. Policja tłumaczy, czemu go szuka
Podejrzane zachowanie mężczyzny. Policja tłumaczy, czemu go szuka
Wyniki Lotto 02.04.2026 – losowania Lotto, Lotto Plus, Multi Multi, Ekstra Pensja, Ekstra Premia, Mini Lotto, Kaskada
Wyniki Lotto 02.04.2026 – losowania Lotto, Lotto Plus, Multi Multi, Ekstra Pensja, Ekstra Premia, Mini Lotto, Kaskada
Tramwaj uderzył w autokar. Wbił się w bok pojazdu
Tramwaj uderzył w autokar. Wbił się w bok pojazdu
Wadowice. Dziecko wypadło z 3. piętra. Na miejscu lądował śmigłowiec LPR
Wadowice. Dziecko wypadło z 3. piętra. Na miejscu lądował śmigłowiec LPR
Niezwykła żaba odkryta w Peru. Nie zgadniesz, gdzie nosi jaja
Niezwykła żaba odkryta w Peru. Nie zgadniesz, gdzie nosi jaja
Zatrzymano 12 Rosjan na granicy z Polską. Pomagali im Ukraińcy
Zatrzymano 12 Rosjan na granicy z Polską. Pomagali im Ukraińcy
19-latek miał zwykłe dreszcze. 48h później już nie żył
19-latek miał zwykłe dreszcze. 48h później już nie żył
Sąd kazał mu się wyprowadzić. Zemścił się na dzieciach
Sąd kazał mu się wyprowadzić. Zemścił się na dzieciach
Wybory na Węgrzech. Będą monitorowane m.in. przez OBWE i Ordo Iuris
Wybory na Węgrzech. Będą monitorowane m.in. przez OBWE i Ordo Iuris
14-latek sterował dronem nad zakładem Orlenu w Płocku. Odpowie przed sądem
14-latek sterował dronem nad zakładem Orlenu w Płocku. Odpowie przed sądem
Niemowlę zginęło podczas strzelaniny. Tragedia na Brooklynie
Niemowlę zginęło podczas strzelaniny. Tragedia na Brooklynie