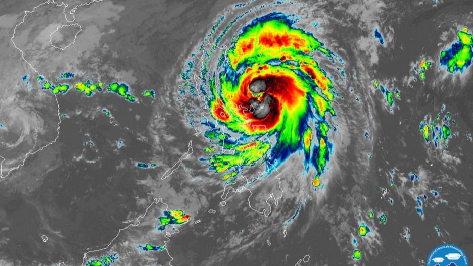
Niepokój w Azji. Tajfun Ulisses przybiera na sile

Tajfun Ulisses coraz groźniejszy. Prognozy pokazują, że siła wiatru będzie dochodziła nawet do 170 km/h. Żywioł zmiecie z powierzchni ziemi wszystko, co spotka na swojej drodze.

tajfun
Źródło zdjęć: © Regional and Mesoscale Meteorology Branch

Sytuacja na Filipinach się pogarsza. Sygnały radarowe ostrzegają przed tajfunem, który przybiera na sile. Będą występować wiatry o prędkości od 121 k/h do 170 km/h. Tak silnie wiało będzie co najmniej przez 18 godzin.

Sylwester w Chełmie. Tak wygląda scena. Kosztowała podatników 2 mln

Alarm burzowy został podniesiony w kilku prowincjach. Wśród nich są miejsca, gdzie wciąż walczy się ze szkodami, które przyniósł poprzedni tajfun - Super Typhoon Rolly (znany również jako "Goni").

W tym roku to 21 burza w tym kraju. Nastąpiła zaledwie kilka dni po tym, jak superburza nawiedziła region Bicol. Przewiduje się, że Ulysses dotrze na ląd nad wyspami Polillo i kontynentalnym Quezon między środą wieczorem a wczesnym czwartkiem, przekroczy Środkowy Luzon i wyłoni się nad zachodnim wybrzeżem Zambales w czwartek.

Tajfun Ulisses uspokoi się, gdy przekroczy Luzon. Zamieni się wtedy w lekkie lub umiarkowane opady deszczu, które nie będą stanowiły zagrożenia. Do tej pory jednak tajfun będzie przybierał na sile.

Nie tylko silny wiatr stanowią zagrożenie. Podczas obfitych lub długotrwałych opadów, zwłaszcza na obszarach, które są bardzo podatne na te zagrożenia i gdzie wcześniej odnotowano ulewne deszcze mogą wystąpić osunięcia ziemi i strumienie obciążone osadami.

Źródło artykułu: o2pl
Wybrane dla Ciebie
Wyniki Lotto 02.01.2026 – losowania Euro Jackpot, Multi Multi, Ekstra Pensja, Ekstra Premia, Mini Lotto, Kaskada
Wyniki Lotto 02.01.2026 – losowania Euro Jackpot, Multi Multi, Ekstra Pensja, Ekstra Premia, Mini Lotto, Kaskada
Śmiertelny atak pumy w Kolorado. To pierwszy taki przypadek od lat
Śmiertelny atak pumy w Kolorado. To pierwszy taki przypadek od lat
Policjanci publikują wideo. Czy ktoś im pomoże? "Nietypowa sprawa"
Policjanci publikują wideo. Czy ktoś im pomoże? "Nietypowa sprawa"
Dopiero zaczynał karierę w policji. Spowodował wypadek. Miał 2 promile
Dopiero zaczynał karierę w policji. Spowodował wypadek. Miał 2 promile
Christian Mansell: Walka z ADHD i powrót do wyścigów
Christian Mansell: Walka z ADHD i powrót do wyścigów
Niemcy ruszyli nad Bałtyk. Ponad 30 kg. "Szaleństwo" na plażach
Niemcy ruszyli nad Bałtyk. Ponad 30 kg. "Szaleństwo" na plażach
Tak zakończyło się odśnieżanie parku w Łodzi. "Kto teraz zapłaci za naprawę?"
Tak zakończyło się odśnieżanie parku w Łodzi. "Kto teraz zapłaci za naprawę?"
Chaos na lotnisku w Australii. Pijany pasażer wbiegł na pas startowy
Chaos na lotnisku w Australii. Pijany pasażer wbiegł na pas startowy
Pod psem załamał się lód. Akcja strażaków na Kanale Żerańskim
Pod psem załamał się lód. Akcja strażaków na Kanale Żerańskim
Polak ranny w pożarze. Wieści ze Szwajcarii. MSZ informuje
Polak ranny w pożarze. Wieści ze Szwajcarii. MSZ informuje
5-latka zginęła podczas zabawy w hamaku. 41-latek usłyszał zarzuty
5-latka zginęła podczas zabawy w hamaku. 41-latek usłyszał zarzuty
Leśnicy są bezwzględni. Zakaz wstępu do lasu. "Prosimy o zrozumienie"
Leśnicy są bezwzględni. Zakaz wstępu do lasu. "Prosimy o zrozumienie"