Huragan Willa przybiera na sile. Wiadomo, gdzie uderzy

Żywioł zbliża się do zachodnich wybrzeży Meksyku. Aktualnie zaliczany jest do kategorii trzeciej, jednak jego siła ma wkrótce wzrosnąć.

Obraz
Źródło zdjęć: © Youtube.com
Michał Nowak

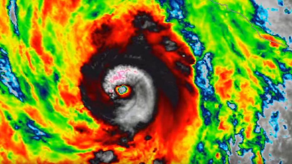
*Huragan wieje z prędkością 185 km/h, ale jego prędkość wciąż rośnie. *Za kilka godzin ma osiągnąć kategorię czwartą w pięciostopniowej skali Saffira Simpsona. Oznacza to, że prędkość wiatru osiągnie nawet do 250 km/h.

*Willa dotrze do Meksyku we wtorek. *Wraz z wiatrem pojawią się intensywne deszcze. Szacuje się, że opady mogą osiągnąć o 12 do 25 cm. Żywioł przetoczy się przez trzy meksykańskie stany: Nayarit , Jalisco i Sinaloa.

Meteorolodzy ostrzegają przed podtopieniami. Może dojść również do lokalnych powodzi oraz lawin ziemnych.

Huragan Willa znajduje się w odległości 400 km od przylądka Cabo Corrientes. Aktualnie przesuwa się na północy wschód.

_Masz newsa, zdjęcie lub filmik? Prześlij nam przez dziejesie.wp.pl.

**Zobacz też: Z tymi co się znają. Urszula Dudziak o mężczyznach swojego życia i wygranej walce z chorobą

Wybrane dla Ciebie
Wyniki Lotto 08.01.2026 – losowania Lotto, Lotto Plus, Multi Multi, Ekstra Pensja, Ekstra Premia, Mini Lotto, Kaskada
Wyniki Lotto 08.01.2026 – losowania Lotto, Lotto Plus, Multi Multi, Ekstra Pensja, Ekstra Premia, Mini Lotto, Kaskada
W Holandii ulepili gigantycznego bałwana. Jest nowy rekord
W Holandii ulepili gigantycznego bałwana. Jest nowy rekord
To już rok od tragicznej śmierci ks. Andrzeja Kalety. Wracał z kolędy
To już rok od tragicznej śmierci ks. Andrzeja Kalety. Wracał z kolędy
Pokazał nagranie z lasu. "Człowiek sam się do siebie uśmiecha"
Pokazał nagranie z lasu. "Człowiek sam się do siebie uśmiecha"
Zmarł Mieczysław Czerniawski. Były prezydent Łomży i poseł SLD zasłynął z afery
Zmarł Mieczysław Czerniawski. Były prezydent Łomży i poseł SLD zasłynął z afery
Proces Sebastiana M. "Zeznania były bardzo emocjonalne"
Proces Sebastiana M. "Zeznania były bardzo emocjonalne"
Olimpiada 2026. Co z zakazem rosyjskich symboli?
Olimpiada 2026. Co z zakazem rosyjskich symboli?
Tragedia podczas porodu. Prokuratura bada śmierć młodej matki
Tragedia podczas porodu. Prokuratura bada śmierć młodej matki
Zaskakująca postawa Sebastiana M. Zarzucił prokuraturze mataczenie
Zaskakująca postawa Sebastiana M. Zarzucił prokuraturze mataczenie
Transmisje Prime MMA pod lupą KRRiT. Chodzi o nieletnich
Transmisje Prime MMA pod lupą KRRiT. Chodzi o nieletnich
Będzie jeszcze zimniej. IMGW ostrzega. Mróz do -17 stopni
Będzie jeszcze zimniej. IMGW ostrzega. Mróz do -17 stopni
Oto japoński robot do mycia zębów. Według producenta wystarczy minuta
Oto japoński robot do mycia zębów. Według producenta wystarczy minuta