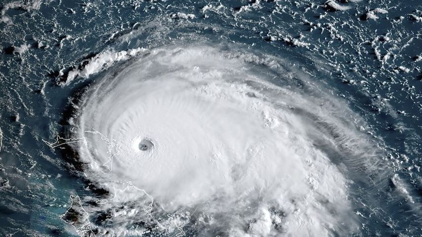
Huragan Dorian ma już 5. kategorię. Skończyła się skala

Huragan Dorian stał się huraganem 5., najwyższej kategorii. Oznacza to, że wiatr wieje już z prędkością 252 km na godzinę. To właśnie przez huragan Dorian prezydent USA Donald Trump odwołał przylot do Polski na obchody 80. rocznicy wybuchu II wojny światowej.

huragan dorian
Źródło zdjęć: © East News

Dorian może spowodować katastrofalne zniszczenia. National Hurricane Center (Narodowe Centrum Huraganów ) w USA ogłosiło w niedzielę po południu czasu polskiego, że żywiołowi przyznano najwyższą kategorię w skali Saffira-Simpsona.

Co oznacza 5. kategoria? Potencjalne szkody, jakie może spowodować taki huragan, to m.in. całkowite zniszczenie niektórych budynków i powodzie na dużym terenie. W niektórych sytuacjach wymagana jest całkowita ewakuacja ludności.

Huragan Dorian zmierza w stronę Bahamów. W niedzielę po południu może uderzyć na północy. Na wyspach przeprowadzono już częściową ewakuację i pozamykano hotele. Mieszkańców i turystów, którzy pozostali na Bahamach, umieszczono we wzmocnionych budynkach szkół i instytucji publicznych – informowała rano Wirtualna Polska.

To może być "absolutny potwór". Tak o huraganie mówił Donald Trump. Prezydent USA nie przyleciał do Polski, bo chciał być w ojczyźnie, gdy uderzy tam Dorian. Huragan ma do wtorku dotrzeć do wschodniego wybrzeża Florydy. To właśnie na terenie tego stanu znajduje się Mar-a-Lago – prywatna rezydencja Trumpa.

Zobacz też: Donald Trump 1 września nie przyleci do Polski. Leszek Miller komentuje

Masz newsa, zdjęcie lub filmik? Prześlij nam przez dziejesie.wp.pl.

Wybrane dla Ciebie
Wyniki Lotto 02.01.2026 – losowania Euro Jackpot, Multi Multi, Ekstra Pensja, Ekstra Premia, Mini Lotto, Kaskada
Wyniki Lotto 02.01.2026 – losowania Euro Jackpot, Multi Multi, Ekstra Pensja, Ekstra Premia, Mini Lotto, Kaskada
Śmiertelny atak pumy w Kolorado. To pierwszy taki przypadek od lat
Śmiertelny atak pumy w Kolorado. To pierwszy taki przypadek od lat
Policjanci publikują wideo. Czy ktoś im pomoże? "Nietypowa sprawa"
Policjanci publikują wideo. Czy ktoś im pomoże? "Nietypowa sprawa"
Dopiero zaczynał karierę w policji. Spowodował wypadek. Miał 2 promile
Dopiero zaczynał karierę w policji. Spowodował wypadek. Miał 2 promile
Christian Mansell: Walka z ADHD i powrót do wyścigów
Christian Mansell: Walka z ADHD i powrót do wyścigów
Niemcy ruszyli nad Bałtyk. Ponad 30 kg. "Szaleństwo" na plażach
Niemcy ruszyli nad Bałtyk. Ponad 30 kg. "Szaleństwo" na plażach
Tak zakończyło się odśnieżanie parku w Łodzi. "Kto teraz zapłaci za naprawę?"
Tak zakończyło się odśnieżanie parku w Łodzi. "Kto teraz zapłaci za naprawę?"
Chaos na lotnisku w Australii. Pijany pasażer wbiegł na pas startowy
Chaos na lotnisku w Australii. Pijany pasażer wbiegł na pas startowy
Pod psem załamał się lód. Akcja strażaków na Kanale Żerańskim
Pod psem załamał się lód. Akcja strażaków na Kanale Żerańskim
Polak ranny w pożarze. Wieści ze Szwajcarii. MSZ informuje
Polak ranny w pożarze. Wieści ze Szwajcarii. MSZ informuje
5-latka zginęła podczas zabawy w hamaku. 41-latek usłyszał zarzuty
5-latka zginęła podczas zabawy w hamaku. 41-latek usłyszał zarzuty
Leśnicy są bezwzględni. Zakaz wstępu do lasu. "Prosimy o zrozumienie"
Leśnicy są bezwzględni. Zakaz wstępu do lasu. "Prosimy o zrozumienie"