Supertajfun Suriage szaleje. "Potwór 5. kategorii". Już przeszedł do historii

Supertajfun Surigae, który już nazwano najpotężniejszym huraganem w Zachodnim Pacyfiku, rośnie w siłę. Z niewielkiej burzy, która zaczęła się w piątek, przekształcił się w - jak opisują meteorolodzy - potężnego "potwora 5. kategorii".

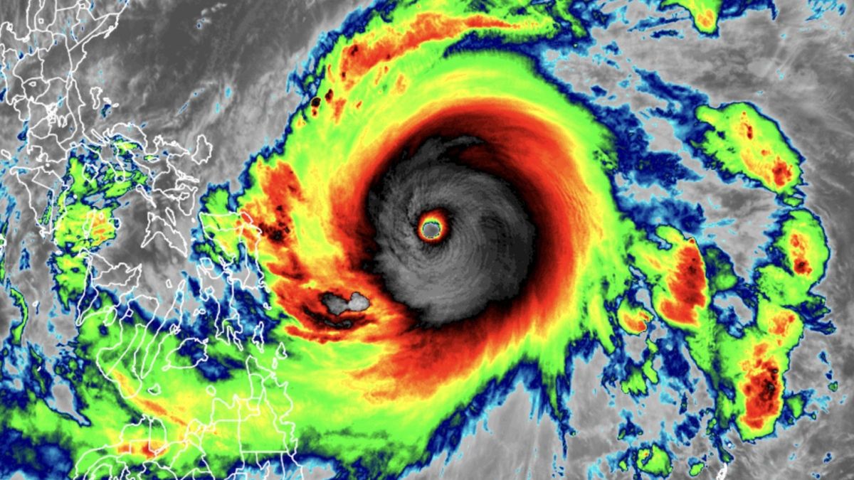
Najsilniejszy huragan na Zachodnim PacyfikuNajsilniejszy huragan na Zachodnim Pacyfiku.
Źródło zdjęć: © CIRA

Tajfuny są coraz częstszym zjawiskiem na Zachodnim Pacyfiku ze względu na zmiany klimatyczne. Według meteorologów ten huragan - znany na Filipinach jako tajfun Bising - jest najpotężniejszym pod względem prędkości wiatru ciągłego kwietniowym tajfunem w historii obserwacji na Zachodnim Pacyfiku.

Śmiesznie niskie ceny za sylwestra w Tajlandii. W Polsce nie do pomyślenia

Meteorolodzy uspokajają, że tajfun najprawdopodobniej ominie Filipiny. Może on jednak sprawić, że w kraju nastąpią gwałtowne zmiany pogodowe, m.in. ulewne deszcze, podtopienia i porywiste wiatry.

Burza osiągnęła maksymalny poziom w skali, której meteorolodzy używają do szacowania intensywności huraganów. Najnowsze dane wskazują, że prędkość wiatru wynosi 285 km/h, a czasami dochodzi nawet do 350 km/h. Dane mogą jednak nie do końca odpowiadać rzeczywistości, ponieważ samoloty nie latają w tej części Pacyfiku.

Najbliżej Filipin tajfun będzie w niedzielę

Według prognoz meteorologów supertajfun Surigae będzie najbliżej Filipin w niedzielę. Może to przynieść niebezpiecznie wysokie fale, ulewny deszcz i porywiste wiatry do wschodnich i północno-wschodnich części kraju.

W 2020 roku supertajfun Goni, opisywany wtedy jako najsilniejszy na świecie cyklon tropikalny, uderzył we wschodnie wybrzeże wysypy Luzon na Filipinach. Wówczas ewakuowano tysiące ludzi, a zginęło co najmniej dziesięć osób.

Źródło artykułu: o2pl
Wybrane dla Ciebie
Wyniki Lotto 06.01.2026 – losowania Lotto, Lotto Plus, Euro Jackpot, Multi Multi, Ekstra Pensja, Ekstra Premia, Mini Lotto, Kaskada
Wyniki Lotto 06.01.2026 – losowania Lotto, Lotto Plus, Euro Jackpot, Multi Multi, Ekstra Pensja, Ekstra Premia, Mini Lotto, Kaskada
Nocna akcja w Niemczech. Wypłynęły pontonem. Szukało ich 40 ratowników
Nocna akcja w Niemczech. Wypłynęły pontonem. Szukało ich 40 ratowników
Wyszedł z domu w sylwestra. Krzysztof N. nie żyje
Wyszedł z domu w sylwestra. Krzysztof N. nie żyje
Dramatyczne zgłoszenie. 13-latka nieprzytomna. Matka znalazła ją w wannie
Dramatyczne zgłoszenie. 13-latka nieprzytomna. Matka znalazła ją w wannie
Incydent w więzieniu. Były prezydent Brazylii Jair Bolsonaro z urazem głowy
Incydent w więzieniu. Były prezydent Brazylii Jair Bolsonaro z urazem głowy
"Melania nienawidzi". Trump zdradza. Tego zabrania mu żona
"Melania nienawidzi". Trump zdradza. Tego zabrania mu żona
Prevc z Złotym Orłem w TCS. Polacy poza czołówką
Prevc z Złotym Orłem w TCS. Polacy poza czołówką
Tragedia w uzdrowisku. Pacjent wypadł z okna szpitala. Nie żyje
Tragedia w uzdrowisku. Pacjent wypadł z okna szpitala. Nie żyje
Nagranie z autostrady A8. Kawałek lodu wyleciał jak z procy
Nagranie z autostrady A8. Kawałek lodu wyleciał jak z procy
Niemka spacerowała nad Bałtykiem. Usłyszała huk. "Ogromne zwierzę"
Niemka spacerowała nad Bałtykiem. Usłyszała huk. "Ogromne zwierzę"
Śmierć niemowlaka w Warszawie. Wstępne ustalenia prokuratury
Śmierć niemowlaka w Warszawie. Wstępne ustalenia prokuratury
Chwalił Putina. Nie wpuścili go na Ukrainę
Chwalił Putina. Nie wpuścili go na Ukrainę