Huragan jako „maszyna cieplna”. To nie wiatr jest największym zagrożeniem

Huragan to "maszyna cieplna", wymagająca dwóch zbiorników ciepła o różnych temperaturach – powiedział PAP dr Artur Szkop z Instytutu Geofizyki PAN. Jak podkreśla, największą niszczycielską siłą tego żywiołu nie jest wiatr, a powódź

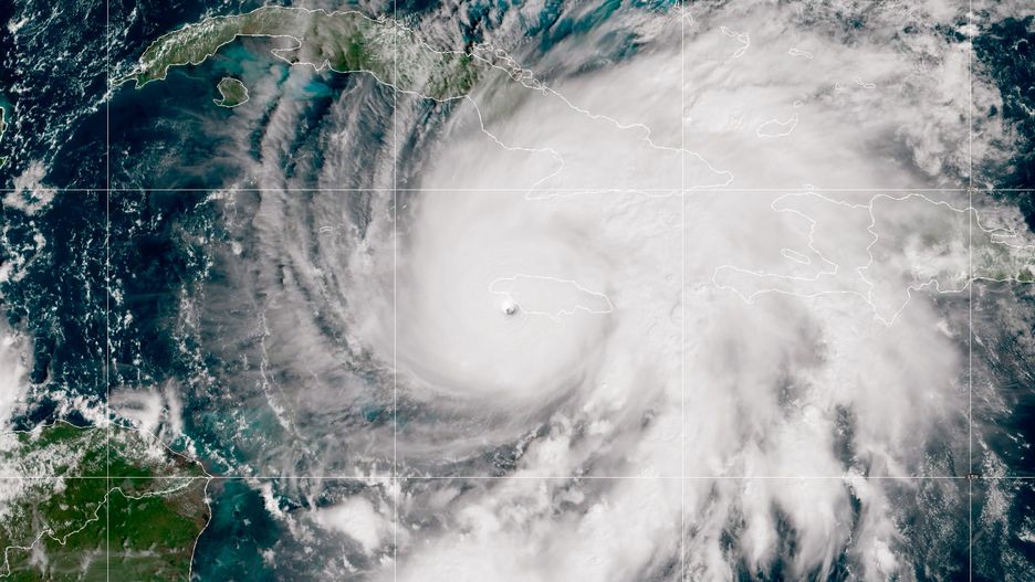
Huragan MelissaHuragan Melissa
Źródło zdjęć: © Getty Images | 2025 NOAA
Anna Wajs-Wiejacka

Najważniejsze informacje

  • Huragan to „maszyna cieplna” napędzana różnicą temperatur między oceanem a stratosferą.
  • Największe zniszczenia powodują powodzie, a nie same porywy wiatru.
  • Melissa to jeden z najsilniejszych huraganów na Atlantyku; porywy sięgały ok. 300 km/h.

Potężna Melissa dotarła we wtorek na Jamajkę. Amerykańskie Narodowe Centrum ds. Huraganów klasyfikuje ją jako jeden z najsilniejszych huraganów w historii Atlantyku. To 13. w tym roku nazwany cyklon tropikalny na tym akwenie i trzeci, który osiągnął 5. kategorię. Jak podaje Polska Agencja Prasowa, o mechanice tego zjawiska i skali zniszczeń mówi dr Artur Szkop z Instytutu Geofizyki PAN.

Ekspert podkreśla, że cyklon tropikalny to specyficzna struktura, inna niż zwykły niż baryczny. Energię czerpie z kontrastu termicznego między rozgrzaną powierzchnią oceanu a zimniejszą, niską stratosferą. Warunkiem startu są m.in. temperatura morza na poziomie ok. 26–27 st. C, odpowiednia siła Coriolisa z dala od równika oraz impuls inicjujący, zwykle burza tropikalna.

Cyklon tropikalny rzeczywiście ma rdzeń, w którym jest niskie ciśnienie, ale źródłem energii cyklonu tropikalnego jest przede wszystkim nie tyle makroskopowy przepływ atmosferyczny, ale różnica pomiędzy temperaturą powierzchni oceanu a temperaturą niskiej stratosfery. Żeby powstał taki huragan, musi być odpowiednio wysoki gradient temperatury, czyli różnica temperatur pomiędzy powierzchnią oceanu a tą niską stratosferą, do której on jest w stanie to ciepło przekazywać - powiedział Szkop.

Huragan Melissa uderzył w Kubę. "Spodziewany się najgorszego"

Największe straty przynosi woda

Dr Szkop porównuje huragan do „maszyny cieplnej” z dwoma zbiornikami ciepła: ciepłym oceanem i zimną stratosferą. Im większy gradient ciśnienia, tym szybszy wirowy ruch powietrza i wyższe prędkości wiatru, które mogą przekraczać 250 km/h. Jednak to nie wiatr jest największym zagrożeniem, jakie niesie za sobą huragan.

Tak naprawdę największą niszczycielską siłą huraganu często nie jest wiatr, tylko powódź, którą on wywołuje. Tak duże ilości wody biorą się z powietrza, które dostaje się do jądra huraganu. Jest ono ciepłe i bardzo wilgotne, a następnie jest bardzo szybko unoszone do góry. Szybko się ochładza i wtedy musi wyrzucić całą nadmiarową wodę – wyjaśnił ekspert.

Skala Saffira-Simpsona i kategoria 5: co to oznacza?

Melissa osiągnęła 5. kategorię w skali Saffira-Simpsona, gdzie o stopniu siły decyduje średnia, utrzymująca się przez czas prędkość wiatru. - Musi utrzymywać się dana prędkość wiatru przez 10 minut. Następnie patrzy się, jaka jest najwyższa utrzymująca się prędkość wiatru i na podstawie tego możemy ocenić jego kategorię — tłumaczy dr Szkop.

Przy 3. kategorii średnia prędkość przekracza 178 km/h, przy 4. zrywane są większość dachów, a powyżej 252 km/h mówimy o katastrofalnych zniszczeniach typowych dla kategorii 5.

Czy można osłabić huragan?

Na pytanie o możliwość wpływania na tor lub siłę żywiołu ekspert odpowiada otwarcie: „na chwilę obecną nie dysponujemy jako ludzkość metodami, które w jakiś opłacalny sposób byłyby w stanie zmienić ścieżkę huraganu”. Teoretycznie rozważa się mieszanie wody powierzchniowej z chłodniejszą z głębokości 50–100 m przed nadejściem cyklonu, by obniżyć temperaturę zasilającą „maszynę cieplną”.

Wymieszanie wody powierzchniowej [...] pozwoliłoby go przynajmniej osłabić. Ale obawiam się, że koszt takiego przedsięwzięcia [...] byłby większy niż potencjalne zniszczenia - przyznał dr Szkop.
Wybrane dla Ciebie
Wyniki Lotto 02.05.2026 – losowania Lotto, Lotto Plus, Multi Multi, Ekstra Pensja, Ekstra Premia, Mini Lotto, Kaskada
Wyniki Lotto 02.05.2026 – losowania Lotto, Lotto Plus, Multi Multi, Ekstra Pensja, Ekstra Premia, Mini Lotto, Kaskada
Bocian na pogrzebie żołnierza. Wymowne sceny w Ukrainie
Bocian na pogrzebie żołnierza. Wymowne sceny w Ukrainie
Poszedł 2 maja do Biedronki. Nie krył zaskoczenia
Poszedł 2 maja do Biedronki. Nie krył zaskoczenia
Matka wciągnięta przez rybę, pisklęta uratowane. Niecodzienna akcja w Łazienkach
Matka wciągnięta przez rybę, pisklęta uratowane. Niecodzienna akcja w Łazienkach
Nad Bałtykiem jak latem. Rozstawili parawany i zrzucili ubrania
Nad Bałtykiem jak latem. Rozstawili parawany i zrzucili ubrania
Początek majówki w Górach Stołowych. Pokazała nagranie
Początek majówki w Górach Stołowych. Pokazała nagranie
Zwrot w sprawie zatonięcia jachtu Bayesian. Śledczy: to nie pogoda
Zwrot w sprawie zatonięcia jachtu Bayesian. Śledczy: to nie pogoda
"Zgrana grupa uciekinierów". Zatrzymali je dopiero strażacy
"Zgrana grupa uciekinierów". Zatrzymali je dopiero strażacy
"Ruch zamarł". Turyści szturmują drogę do Morskiego Oka
"Ruch zamarł". Turyści szturmują drogę do Morskiego Oka
"Śmiertelna pułapka" na działce. Nie spodziewali się tego, co zobaczą
"Śmiertelna pułapka" na działce. Nie spodziewali się tego, co zobaczą
Sanatoria poszerzają ofertę. "Człowiek czuje się od razu młodszy"
Sanatoria poszerzają ofertę. "Człowiek czuje się od razu młodszy"
Tysiące pacjentów bez ubezpieczenia zdrowotnego? Pierwszy taki stan w USA
Tysiące pacjentów bez ubezpieczenia zdrowotnego? Pierwszy taki stan w USA