Odkryli to na dnie oceanu. "Nie sądzę, by zrobił to człowiek"

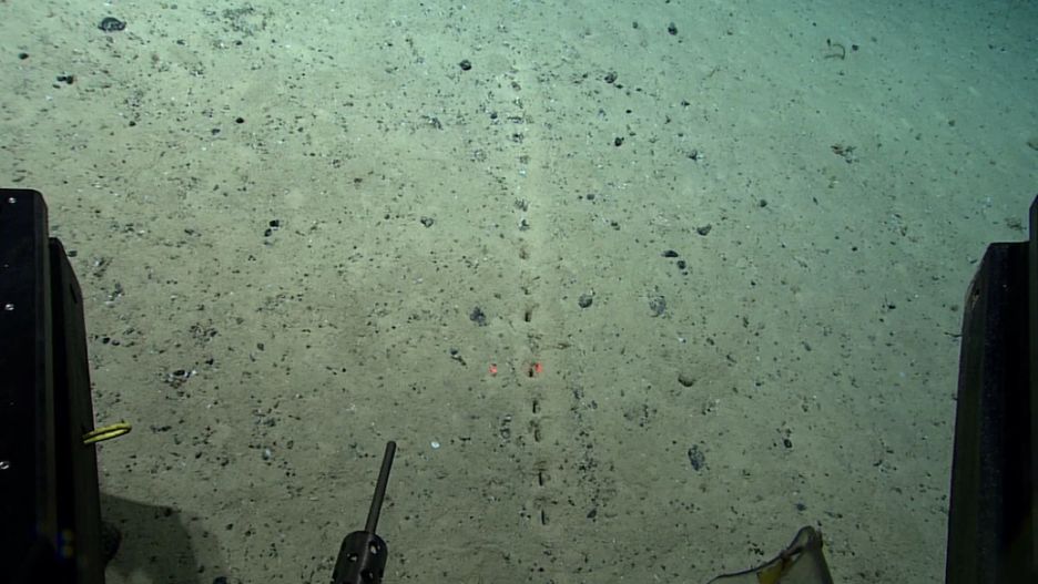
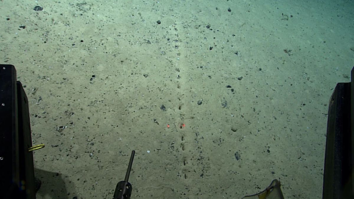
Na profilu Narodowe Agencji Oceanów i Atmosfery na Twitterze zostały opublikowane zdjęcia wykonane na dnie oceanu. Kiedy naukowcy przejrzeli, jaki widok zarejestrowały kamery, nie posiadali się ze zdumienia. Nie wiadomo, skąd się wzięły tam równe otwory.

Skąd się wzięły na dnie oceanu te dziury? Są w idealnej linii prostejSkąd się wzięły na dnie oceanu te dziury? Są w idealnej linii prostej
Źródło zdjęć: © National Oceanic and Atmospheric Administration

Jak informuje portal Mashable, zdjęcia zostały wykonane na głębokości ponad 8 tys. stóp (około 2,4 km) na obszarze Grzbietu Śródatlantyckiego. Jest to podwodny grzbiet pod powierzchnią Oceanu Atlantyckiego, który ciągnie się od Islandii aż po obszar Antarktydy.

Tajemnicze zjawisko na dnie oceanu. Skąd się tam wzięły dziury?

Na Grzbiecie Śródatlantyckim dostrzeżono niewielkie otwory, które zostały rozmieszczone w nieomal równej linii. Rzecznik Narodowej Agencji Oceanów i Atmosfery (NOAA) podkreśla, że obecność otworów zdumiała naukowców i nie są oni do końca przekonani, w jaki sposób powstały.

Jedną z osób, które badają tajemnicze pochodzenie otworów, jest Mashable Mike Vecchione. Zoolog z Narodowego Muzeum Historii Naturalnej w Waszyngtonie obserwował je z bezpiecznej odległości i poddaje w wątpliwość, aby za obecność dziur był odpowiedzialny człowiek.

Nie sądzę, aby za ich powstanie odpowiadał człowiek – przekonywał Mashable Mike Vecchione.

Ostatecznie powstały dwie hipotezy pochodzenia dziur. Pierwsza zakłada, że jedno ze stworzeń przekopywało się poziomo przez dno, pozostawiając równomiernie rozmieszczone otwory do wentylacji.

Zgodnie z drugą hipotezą za obecność dziur również odpowiada zwierzę. Jednak stworzenie miało nie przebijać się poziomo przez dno, lecz pływać, od czasu do czasu wbijając coś w podłoże.

W taki sposób, jak odżywiają się przybrzeżne ptaki, które można zaobserwować na plaży. Zobaczysz, że spacerują przy brzegu i co jakiś czas wbijają swoje dzioby w piasek. Na przestrzeni kilku dni słyszałem wiele naprawdę szerokich teorii – wskazywał Mashable Mike Vecchione (Mashable).

Zobacz też: Niezwykłe stworzenie na dnie oceanu. Kałamarnica odkryta ponad 6 km pod wodą

Źródło artykułu: o2pl
Wybrane dla Ciebie
Podnoszą gotowość po ataku w Sydney. Helsinki wskazują wrażliwe miejsca
Podnoszą gotowość po ataku w Sydney. Helsinki wskazują wrażliwe miejsca
Wyniki Lotto 14.12.2025 – losowania Multi Multi, Ekstra Pensja, Ekstra Premia, Mini Lotto, Kaskada
Wyniki Lotto 14.12.2025 – losowania Multi Multi, Ekstra Pensja, Ekstra Premia, Mini Lotto, Kaskada
Polak z Krakowa zginął w rosyjskim więzieniu? Rodzina o jego SMS-ie
Polak z Krakowa zginął w rosyjskim więzieniu? Rodzina o jego SMS-ie
PŚ w skokach narciarskich. Prevc triumfuje w Klingenthal. Polacy daleko
PŚ w skokach narciarskich. Prevc triumfuje w Klingenthal. Polacy daleko
Zabrali małe dziecko na środek Morskiego Oka. Bezmyślne zachowanie rodziców
Zabrali małe dziecko na środek Morskiego Oka. Bezmyślne zachowanie rodziców
Znalezione szczątki drona w lubelskim lesie. Odkrył je spacerowicz
Znalezione szczątki drona w lubelskim lesie. Odkrył je spacerowicz
"Zdjąłem koszulę, żeby zatrzymać krwawienie". Świadek opisuje masakrę w Sydney
"Zdjąłem koszulę, żeby zatrzymać krwawienie". Świadek opisuje masakrę w Sydney
PŚ. Damian Żurek przegrał o jedną tysięczną sekundy. Kaja Ziomek także druga
PŚ. Damian Żurek przegrał o jedną tysięczną sekundy. Kaja Ziomek także druga
Premier Tusk po ataku w Sydney. "Dziś Polska łączy się z Australią"
Premier Tusk po ataku w Sydney. "Dziś Polska łączy się z Australią"
Pilny komunikat GIS. Nie podawaj niemowlętom tego mleka
Pilny komunikat GIS. Nie podawaj niemowlętom tego mleka
Przejechał Teslą ponad 83 tys. km. Porównał koszty z autem benzynowym
Przejechał Teslą ponad 83 tys. km. Porównał koszty z autem benzynowym
Ku przestrodze. Poszedł do lasu, wpadł po pas w mokradło
Ku przestrodze. Poszedł do lasu, wpadł po pas w mokradło