Serce huraganu Sam zaskakuje. Puścili w nie drona. Zobacz nagranie

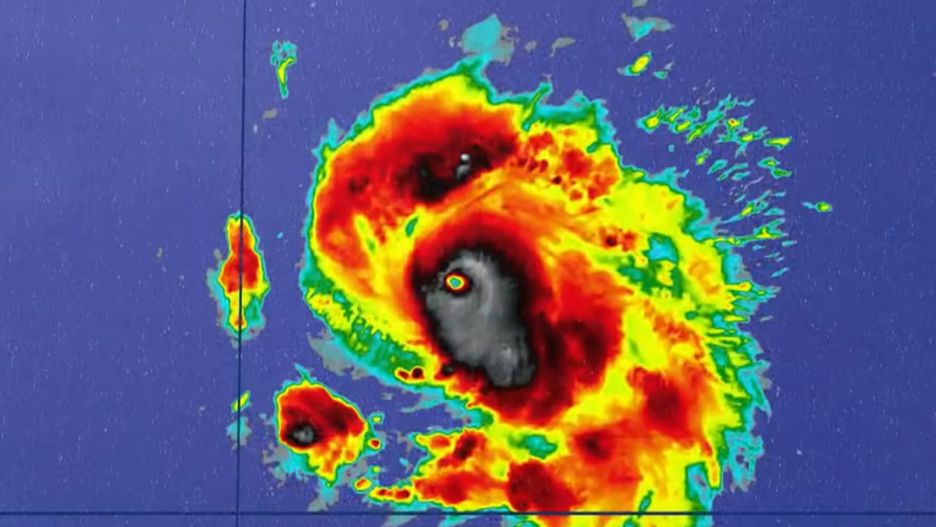
Na Oceanie Atlantyckim szaleje huragan Sam. Dociera już do okolic Bermudów, a zaniepokojeni meteorolodzy śledzą jego zasięg i siłę. Eksperci z Narodowej Agencji Oceanów i Atmosfery wysłali w samo serce huraganu specjalny dron. Wnętrze żywiołu może zdziwić wiele osób. To pierwsze takie nagranie

Narodowa Agencja Oceanów i Atmosfery wysłała dron w samo serce huraganu Sam Narodowa Agencja Oceanów i Atmosfery wysłała dron w samo serce huraganu Sam
Źródło zdjęć: © YouTube, WWLTV

Droga huraganu Sam zakończy się dopiero w przyszłym tygodniu. Dotrze wówczas w rejony północnego Atlantyku jako – z powodu wytraconej po drodze siły – głęboki niż umiarkowany. Jednak na razie do jego nagrania konieczne było wcześniejsze zabezpieczenie drona.

Nagrali dronem wnętrze huraganu Sam. Jak wyglądało?

Jak podaje NBC News, Narodowa Agencja Oceanów i Atmosfery wykorzystała do sfilmowania wnętrza huraganu specjalny autonomiczny pojazd – tzw. saildrone. Został zaprojektowany przez firmę o tej samej nazwie. Dzięki wyposażeniu w kamerę wyglądający jak "zrobotyzowana deska surfingowa" sprzęt był w stanie przetrwać w środku żywiołu.

Aby wytrzymał w trudnych warunkach, saildrone został wyposażony w specjalne skrzydło. Sprzęt rejestrował nie tylko obraz, lecz także m.in. prędkość i kierunek wiatru, ciśnienie barometryczne, temperaturę, zasolenie czy wilgotność. Po publikacji materiału przez Narodową Agencję Oceanów i Atmosfery okazało się, że wnętrze huraganu było zaskakująco spokojne w porównaniu do tego, co działo się na zewnątrz.

Spodziewamy się ulepszyć modele prognostyczne, które pomogłyby przewidzieć intensyfikacje huraganów. Ponieważ nasila się ona w przeciągu kilku godzin, stanowi poważne zagrożenie dla społeczności przybrzeżnych, a dane zebrane z systemów bezzałogowych pozwolą ulepszyć kolejne modele – podkreśla naukowiec Greg Foltz (Phys.org).

Jak podkreśla Greg Foltz, podobne zjawiska atmosferyczne zjawiają się coraz częściej. Naukowiec tłumaczy to skutkami katastrofy klimatycznej.

Zobacz też: Oko huraganu Ida. Satelity w USA zarejestrowały przerażający moment uderzenia żywiołu

Źródło artykułu: o2pl
Wybrane dla Ciebie
Wyniki Lotto 02.05.2026 – losowania Lotto, Lotto Plus, Multi Multi, Ekstra Pensja, Ekstra Premia, Mini Lotto, Kaskada
Wyniki Lotto 02.05.2026 – losowania Lotto, Lotto Plus, Multi Multi, Ekstra Pensja, Ekstra Premia, Mini Lotto, Kaskada
Bocian na pogrzebie żołnierza. Wymowne sceny w Ukrainie
Bocian na pogrzebie żołnierza. Wymowne sceny w Ukrainie
Poszedł 2 maja do Biedronki. Nie krył zaskoczenia
Poszedł 2 maja do Biedronki. Nie krył zaskoczenia
Matka wciągnięta przez rybę, pisklęta uratowane. Niecodzienna akcja w Łazienkach
Matka wciągnięta przez rybę, pisklęta uratowane. Niecodzienna akcja w Łazienkach
Nad Bałtykiem jak latem. Rozstawili parawany i zrzucili ubrania
Nad Bałtykiem jak latem. Rozstawili parawany i zrzucili ubrania
Początek majówki w Górach Stołowych. Pokazała nagranie
Początek majówki w Górach Stołowych. Pokazała nagranie
Zwrot w sprawie zatonięcia jachtu Bayesian. Śledczy: to nie pogoda
Zwrot w sprawie zatonięcia jachtu Bayesian. Śledczy: to nie pogoda
"Zgrana grupa uciekinierów". Zatrzymali je dopiero strażacy
"Zgrana grupa uciekinierów". Zatrzymali je dopiero strażacy
"Ruch zamarł". Turyści szturmują drogę do Morskiego Oka
"Ruch zamarł". Turyści szturmują drogę do Morskiego Oka
"Śmiertelna pułapka" na działce. Nie spodziewali się tego, co zobaczą
"Śmiertelna pułapka" na działce. Nie spodziewali się tego, co zobaczą
Sanatoria poszerzają ofertę. "Człowiek czuje się od razu młodszy"
Sanatoria poszerzają ofertę. "Człowiek czuje się od razu młodszy"
Tysiące pacjentów bez ubezpieczenia zdrowotnego? Pierwszy taki stan w USA
Tysiące pacjentów bez ubezpieczenia zdrowotnego? Pierwszy taki stan w USA